Other Allen Services

Insect Control Pest Management Allen Tx Home Pest Solutions Exterminator Services
Insect Control Service

Insect control services in Allen, TX, are designed to help homeowners and property managers manage and reduce pest populations effectively. From ants and spiders to wasps and beetles, these services focus on creating a safer, more comfortable environment while emphasizing clear communication and professional treatment. Local expertise ensures tailored solutions for common pest challenges in the area, providing peace of mind and a pest-free space.

Read more
Windows Installation Home Improvement Energy Efficiency Window Replacement Allen Tx Property Maintenance
Windows Installation

Offering expert Windows installation and related services in Allen, TX, this provider ensures a smooth process with clear communication and practical results. From upgrades to custom fittings, clients benefit from quality craftsmanship and reliable solutions that enhance energy efficiency, security, and curb appeal. Local expertise ensures tailored service and a hassle-free experience for homeowners and property managers alike.

Read more
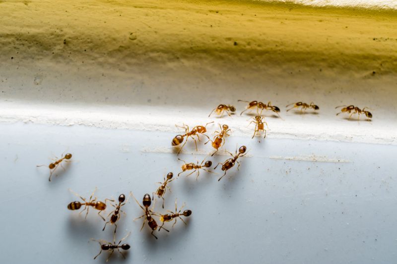
Pest Control Ant Extermination Allen Tx Termite Treatment Spider Removal Local Pest Services
Red Ant Extermination

Red ant extermination in Allen, TX, addresses persistent ant infestations with thorough, targeted treatments. Local pest control experts focus on clear communication and practical results to restore comfort and safety to homes and businesses. Their services also include treatments for termites, spiders, and other common pests, ensuring comprehensive property protection in the community.

Read more
Handicap Bathtub Bathroom Accessibility Home Modifications Safety Upgrades Allen Tx
Handicap Bathtub Installation

Providing professional handicap bathtub installation services in Allen, TX, this service focuses on creating safe, accessible bathrooms. Our team ensures a smooth process, emphasizing quality craftsmanship, clear communication, and practical results to improve safety and independence in your home.

Read more
Crawlspace Waterproofing Moisture Control Waterproofing Solutions Allen Tx Foundation Protection
Crawlspace Waterproofing

Our crawlspace waterproofing services in Allen, TX protect homes from moisture, mold, and structural damage. We focus on clear communication and practical results, ensuring a dry, healthy environment under your home. Trust our local team for quality craftsmanship and reliable solutions tailored to Allen's unique needs.

Read more
Rats Extermination Pest Control Rodent Removal Allen Tx Home Safety
Rats Extermination

Expert rats extermination services in Allen, TX, help homeowners and businesses address rodent problems effectively. Our team provides thorough inspections, targeted removal, and sealing entry points to ensure a pest-free environment. Focused on clear communication and practical results, we prioritize safety and minimal disruption for lasting solutions.

Read more
Ant Extermination Pest Control Allen Tx Local Pest Services Ant Infestation Home Pest Management
Ants Extermination Service

Ants extermination services in Allen, TX help homeowners address ant invasions effectively. Our local team provides targeted treatments, clear communication, and practical solutions to create a pest-free environment. Trust us for reliable service that restores comfort and peace of mind in your home or property.

Read more
Electric Wall Heater Heating Services Allen Tx Heater Repair Heater Installation Electrical Services
Electric Wall Heater Service

Providing professional electric wall heater services in Allen, TX, our team ensures efficient installation, repairs, and maintenance. We focus on clear communication and quality results to keep your space warm and comfortable year-round. Trust us for reliable heating solutions tailored to your needs.

Read more
Hardwood Flooring Floor Installation Tiger Wood Allen Tx Flooring Services Hardwood Refinishing
Tiger Wood Floor Installation

Offering expert tiger wood floor installation in Allen, TX, our team delivers durable, attractive flooring solutions. We focus on quality craftsmanship, clear communication, and a smooth process to ensure your space looks beautiful and lasts for years. From preparation to finishing, our local specialists prioritize practical results and customer satisfaction for residential and commercial projects.

Read more
Shower Remodeling Bathroom Renovation Home Improvement Allen Tx Bathroom Upgrades
Shower Remodeling

Our shower remodeling services in Allen, TX enhance both the functionality and aesthetic appeal of your bathroom. From design to installation, we focus on quality craftsmanship, clear communication, and delivering practical, durable results tailored to your needs. Trust our local experts to create a modern, stylish shower space that adds value and comfort to your home.

Read more